| 価 格 | 1,150万円 (坪単価:17.97万円) | 種 別 | 土地 |
| 住所・所在地 | 千葉県 木更津市 高柳 3378 | 交通・所要時間 | JR内房線 磐根駅 徒歩16分 JR 木更津駅 3200m |
| おすすめ |
|
||
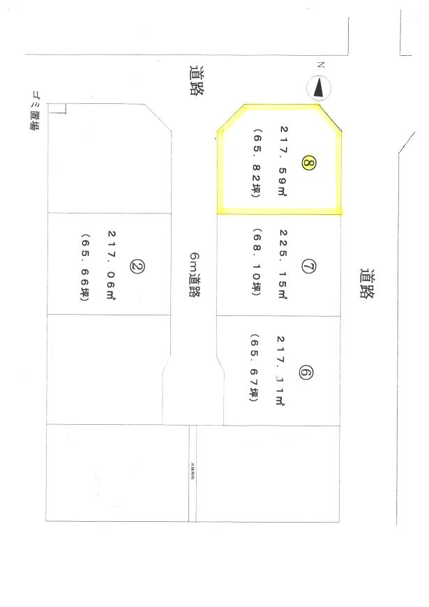
| 土地面積 | 211.47m² (63.96坪) | 建物面積 | - |
| 建物構造 | - | ||
| 間取り | 4LDK | 築年月 | - |
| 地目 | 宅地 | ||
| 都市計画 | 市街化調整区域 | 用途地域 | 指定なし |
| 建ぺい率 | 60% | 容積率 | 200% |
| 接面道路 |
東 6.5m 公道 11.5m接道 西 6m 公道 11.6m接道 北 6m 公道 11.4m接道 |
||
| 設備 |
東京電力 東京ガス 公営水道 浄化槽
※設備については、直ちに利用可能な前面道路の配管等について表示しています。 |
||
| 小学校区 | 岩根 | ||
| その他 | 設備は水道、東京ガス、雨水浸透施設が設置済みです。 水道負担金 301,000円、 浄化槽の設置が必要です。 | ||
| 取引形態 | 一般媒介 | ||
※図面と現状が相違する場合は現状を優先とさせていただきます。
※又、物件掲載中に成約済の場合はご了承下さい。
- 木更津市高柳 8区画の分譲地。62坪から68坪で自由に選ぶことができます。両面道路の区画もあり、建物間取りや駐車場の配置などいろいろな設計ができます。建築条件なし。JR内房線 巌根駅より17分です。金田バスターミナルまで4400mと便利です。
所在地マップ・交通案内
千葉県 木更津市 高柳 3378
JR内房線 磐根駅 徒歩16分 JR 木更津駅 3200m
JR内房線 磐根駅 徒歩16分 JR 木更津駅 3200m
#com_get.campnay_name#
お電話でのお問い合わせは #com_get.tel#




